Data Portal
Data Portal

Transportation Mapping Use Cases & Where to Get the Data

Explore top use cases for geospatial data in transportation planning, including multimodal network planning, ADA compliance, pedestrian safety, & more.

What is transportation mapping?

Transportation mapping is a common application of geographic information systems (GIS) and geospatial data. Around the world, transportation networks exist to help get people, goods, information, and more where they are needed. These networks are made up of a variety of transportation methods, such as roads, bike lanes, sidewalks, railways, and similar features. All of these transportation features coexist to ideally form a comprehensive network that connects people and places, and planning departments are always striving to enhance and optimize their community’s networks. 

As communities evolve over time, so do their transportation needs and the networks that serve them. For example, as a population grows, sidewalks may need to be extended to support an increasing number of pedestrians. Similarly, a community may become less reliant on vehicular travel and more dependent on trains, requiring an increase in track capacity. Transportation networks are dynamic, constantly changing to adapt to and serve the evolving needs of the population. Mapping these dynamic features is critical to understanding them, and many geospatial solutions exist to help people navigate from one place to another. 

Transportation planning data use cases

Transportation maps not only help people figure out where they are going, but they also help the teams who oversee these networks to create and maintain routes that serve the needs of their communities. Geospatial data and GIS mapping programs provide transportation planning departments at the federal, state, and municipal levels to visualize and analyze their existing infrastructure, as well as model future developments.

At Ecopia AI (Ecopia), we help transportation departments around the world improve their infrastructure with comprehensive, accurate, and up-to-date geospatial data. While every community is different, many share similar goals and challenges when it comes to transportation planning. In this blog post, we’ll break down the top use cases for transportation mapping, common challenges experienced by planning departments, and how artificial intelligence (AI) AI-based technology is enabling communities to develop more equitable, efficient, and sustainable networks.

Multimodal transportation network planning

Providing a diverse range of transportation options is a top priority for many planning departments. Every resident and visitor has different transportation needs, so offering multiple means of getting around is integral to fostering an equitable community. Giving people the  option to choose from different modes of transportation also can reduce reliance on personal vehicle travel, making communities greener and more sustainable. To achieve these results, departments around the world are developing multimodal transportation networks, meaning there are multiple types of transportation interconnected to each other throughout the community.  

Multimodal transportation network example
An example of multimodal transportation network planning from the US Department of Transportation Federal Highway Administration

The key to multimodal transportation planning is making the different modes accessible. Transportation mapping helps planning departments visualize existing modes and how they relate to each other, then develop strategies to make them more accessible and interconnected. Mapping different types of transportation can highlight gaps in the accessibility of a particular mode, as well as identify areas for improvement in existing multimodal networks. Layering in demographic, point of interest, and other contextual data about the area can also enable planners to model the demand and usage of different modes, and ultimately make informed decisions about how to improve infrastructure. And of course, producing high quality consumer-facing maps about how these different modes are connected is an important part of making them accessible to the community.

Bicycle & pedestrian safety mapping

As sustainable transportation and healthy living become increasingly high priorities for governments and individuals alike, planning departments are looking to expand mode networks for bicycles and pedestrians. Providing opportunities for people to choose active transportation methods not only helps foster healthier, more liveable communities, but also can reduce harmful emissions from other modes of transportation. However, in many areas, bicycle and pedestrian infrastructure is not already in place and must be carefully added to existing transportation networks in a way that ensures both accessibility and safety.

Bike network map
An example of an interactive bike network map San Bernardino County Transportation Authority shares with the public to facilitate safe, active transportation

Developing safe and accessible active transportation modes can be challenging, especially when adding these features into long established networks. Geospatial data that represents all nearby transportation modes can help identify the ideal corridors for bike lanes and pedestrian features, in addition to areas that should be avoided for safety reasons. Better yet, planning departments are deriving critical insights from mapping tools that help them improve safety for pedestrians and cyclists. For example, transportation mapping can reveal where a lack of sidewalks and crosswalks is endangering pedestrians visiting nearby amenities, and inform plans for developing them. Similarly, frequently updated maps enable planners to detect when bicycle or pedestrian infrastructure is in disrepair and poses a safety hazard, allowing them to act quickly to restore it and prevent accidents.

Sustainable transportation planning

While developing multimodal and active transportation networks can foster greener communities that are less reliant on personal vehicle travel, many planning departments have specific goals devoted entirely to improving sustainability. For example, optimizing road and public transit networks helps to reduce unnecessary travel (and associated emissions), and building green infrastructure into transportation corridors can not only have a positive impact on the environment, but also make network features more enjoyable. In combination with the options provided by multimodal networks, particularly active modes like walking and biking, these initiatives can greatly improve transportation sustainability.

Transportation map of Los Angeles
A sample of map features used by the City of Los Angeles to assess opportunities to incorporate sustainable infrastructure into their transportation networks

Geospatial data and analysis is a critical part of developing sustainable transportation networks. The advanced routing tools within GIS programs enable planners to model different scenarios and make informed decisions about the most efficient way to get around a community, ultimately reducing the amount of harmful emissions generated by transportation. Mapping can also help identify opportunities to incorporate sustainable infrastructure into networks, such as vegetating stormwater medians or green roofs. By layering in land cover data, planners can understand which areas are most at risk of environmental hazards and would benefit most from the addition of green infrastructure features. 

Leveraging geospatial data for ADA compliance

Ensuring transportation networks are accessible to all is another top priority of planning departments. In the US, the Americans with Disabilities Act (ADA) provides guidelines and regulations for transportation departments to develop and maintain infrastructure that is usable by everyone, regardless of disabilities. To ensure this usability, the ADA requires features like curb ramps, bus shelters, and wheelchair spaces throughout transportation networks. Other ADA compliance features include adequate sidewalks connecting different modes of transportation, and even sufficient tree canopy or other shelters to reduce exposure to the elements.

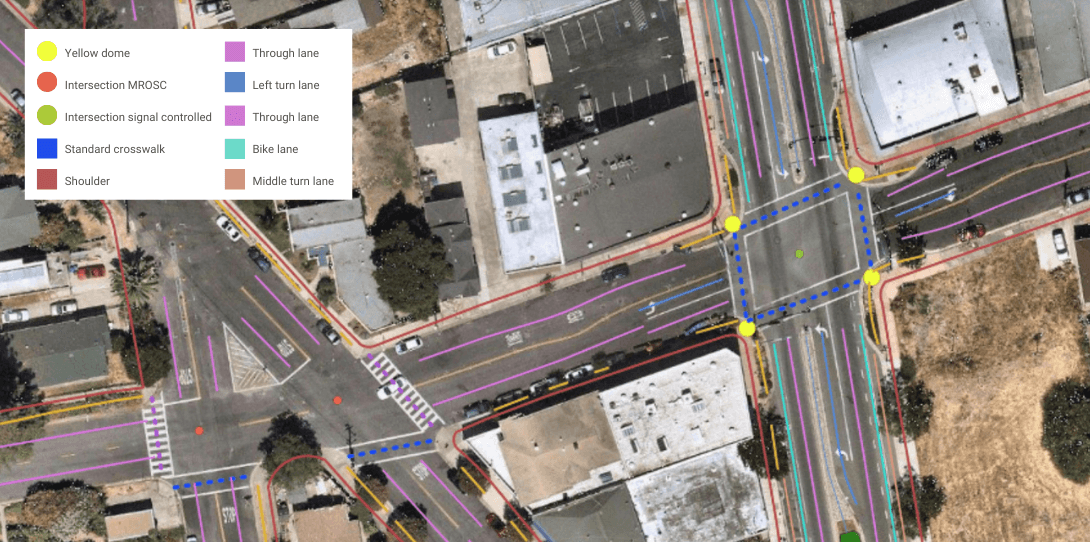
ADA transportation map
A sample of advanced transportation features used by Contra Costa County, including ADA warning yellow domes

Planning departments leverage geospatial data and mapping analytics tools to determine the proper placement of these accessibility features and ensure ADA compliance. As is the case with planning other transportation network elements, visualizing the existing infrastructure and layering in context about what is needed and where is the best way for planners to understand accessibility. With comprehensive, accurate, and up-to-date data about current network features, planning departments can identify where they need to make improvements to achieve ADA compliance, as well as model how different modes and corridors will need to adapt to future changes in the population and the surrounding area.

Developing equitable transportation networks

Similarly, transportation planners must make sure network access is equitable to all communities. In many areas, certain modes of transportation are only available in specific neighborhoods, and some neighborhoods may not be connected to other parts of the community at all. This is problematic when considering the limitations this places on employment and educational opportunities, as well as access to essential amenities like grocery stores, healthcare, and more. 

Research from the Civic Mapping Initiative revealed that only 57% of US community college primary campuses have transit stops within walking distance, potentially prohibiting some students from accessing education
Research from the Civic Mapping Initiative revealed that only 57% of US community college primary campuses have transit stops within walking distance, potentially prohibiting some students from accessing education

With geospatial insights, planning departments can improve equity in transportation networks by analyzing their accessibility and proximity to these key locations. Understanding the socioeconomic landscape by adding demographic data to a transportation mapping analysis helps planners to identify gaps in access, as well as barriers to access like unaffordable transit options. While existing infrastructure may have been developed without these issues in mind, the wide array of tools and data now available to planning departments enables communities to increase accessibility and equity in transportation.

Where to get transportation mapping data

To effectively leverage geospatial technology for these transportation use cases, planning departments require high-precision data about the various features involved in their network, as well as about the surrounding environment and population. Sourcing this data can sometimes be challenging, but there are multiple ways to go about getting the information needed for transportation mapping.

First-party data collection

Like any organization, transportation departments usually possess their own first-party data they’ve collected internally. This can include network usage metrics, such as how many people ride a certain subway route each day or how often buses stop at a particular location. First-party data is incredibly valuable for understanding unique characteristics of specific transportation networks, and there are often no other sources of such hyper-local information. However, there are also limitations to first-party data. Many of the relevant datasets planners must layer into their network analysis are not actively maintained by transportation departments, leading them to rely on stale data or else create it themselves. This is often the case with land cover data, an integral part of understanding site suitability and other components of transportation planning. 

First-party data can also be derived from previous network plans or maps, but depending on when those plans were created, the data may not be readily usable.  For example, a planning department may have the original plans for their community’s sidewalk network on paper, but no digital representation of that network to leverage in geospatial analytics. Not to mention, the paper map is most likely outdated. To get the sidewalk data into a usable format for GIS, and update it to reflect the network’s current state, the department will need to digitize it.

Manual digitization

One option for transportation planning organizations to acquire the data they need but do not already have in a usable format is to manually digitize paper maps or imagery. Most GIS programs include a tool for manually tracing and georeferencing real-world features on a raster image, resulting in interactive vector map features that can be used for deeper analysis. While this is an effective way to extract pieces of data from otherwise static sources of information, it is an extremely tedious and time-consuming process at-scale. Manual digitization requires the full attention of a trained GIS professional, making it an expensive task. For reference, San Bernardino County Transportation Authority (SBCTA) worked with civil engineers at Fehr & Peers to manually digitize their over 17,000 miles of sidewalks from geospatial imagery; after six months of resource-intensive work, only 750 miles were mapped.

Even if planners have a full geospatial dataset of their transportation networks, keeping them up-to-date can require manual digitization. As an example, it took the GIS team in Collier County, Florida four years to manually digitize all of the driveways and access roads throughout their county, not accounting for the inevitable change that occurred within that time. While manual digitization can be a helpful tool for spot checking and updating minor gaps in data, it is not a sustainable or efficient way for transportation planning departments to acquire the data they need about the communities they serve.  

AI-based mapping

Thankfully, AI is alleviating many of the challenges transportation planning departments experience when sourcing geospatial data.  What used to take weeks, months, and even years of tedious work by a trained GIS professional now takes just a fraction of that time, freeing them up for what really matters - analysis and planning.

Ecopia’s AI-based mapping systems ingest high-resolution imagery from our global partner network and extract the real-world features needed for strategic decision-making at-scale. Unlike other automation tools, Ecopia’s AI-powered technology maintains the same level of quality and accuracy you would expect of a trained GIS professional manually digitizing a map. Using the examples we previously provided, Ecopia was able to digitize 17 layers of detailed transportation features across San Bernardino County in just three months, and all of Collier County’s driveways and access roads within four weeks. Ecopia’s change detection capabilities ensure that any alterations to these features are captured in future updates of the data, keeping GIS teams informed with the most up-to-date understanding of their communities.  

Advanced transportation map made by AI
A sample of the detailed transportation features extracted for SBCTA by Ecopia’s AI-based mapping systems

To learn more about how AI can transform your organization’s transportation mapping, get in touch with our team of experts. We have a licensed planner on staff to help you scope new projects, implement new geospatial strategies, and share how other communities are leveraging AI-powered data. Get in touch here

Learn more about Ecopia's transportation planning solutions

Ready to get started?

Get in touch with our team and explore our data catalog.

Let's talk